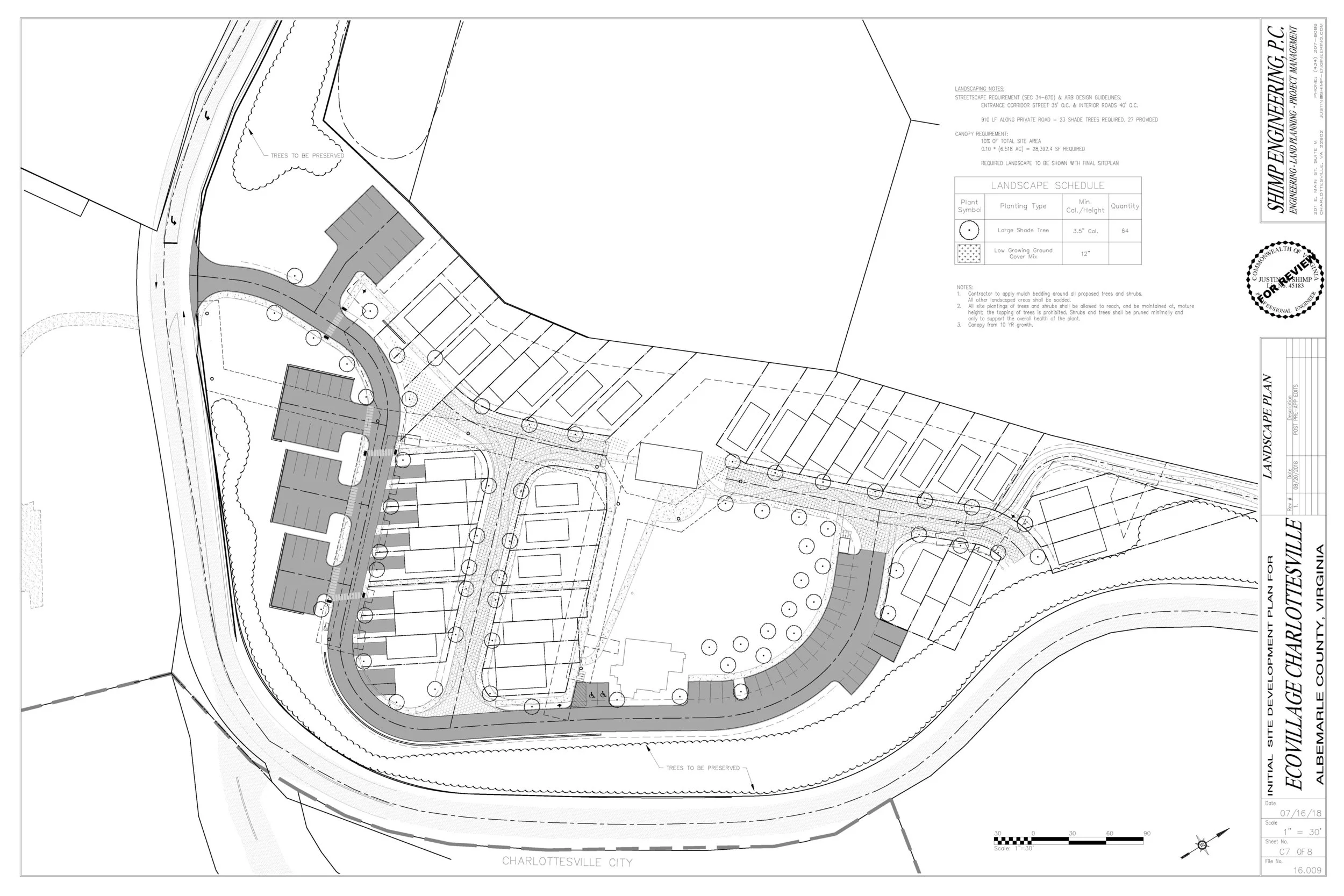
ECOVILLAGE CHARLOTTESVILLE
Project Type Residential | Park
Service Site Design | Engineering | Landscape Design
Status In Progress
Site Acreage 6.5
Clients / Collaborators Ecovillage Charlottesvile
‘We envision humanity living in a peaceful, healthy, joyful, sustainable, just, compassionate and very alive world. We envision people living intentional, passionate, and compassionate lives that nurture themselves, others, and the earth.” – Ecovillage Charlottesville Vision Statement
Ecovillage is a unique and innovative housing development that promotes ecologically oriented living, pedestrian friendly access, and community housing. The layout of the development reimagines the residential streetscape as a community greenspace; creating a seamless transition from home to home. The pedestrian oriented streetscapes is possible by relegating all vehicular traffic and parking areas along the outer rim of the development. A network of pedestrian paths weave through the development, promoting connectivity and walkability across the site’s seventy foot elevation change.
